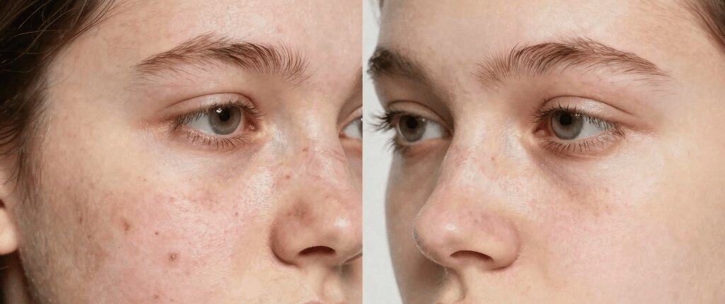
Peau à tendance acnéique
L’acné est une affection cutanée très fréquente chez les adolescents. Sous l’effet des changements hormonaux liés à la puberté, la peau peut devenir plus grasse, favorisant l’apparition de boutons, points noirs ou imperfections. Même si elle est courante, l’acné peut parfois être difficile à vivre au quotidien. Dans cet article, découvrez les différents types d’acné chez les adolescents, leurs causes principales, ainsi que des conseils simples pour prendre soin de sa peau et retrouver une apparence plus saine.
4/18/20263 min read


À propos de l’acné chez l’adolescent
Qu’il s’agisse de la fréquence des boutons, de leur intensité ou de la réaction aux traitements, chaque adolescent vit l’acné différemment. Certains auront quelques imperfections occasionnelles, tandis que d’autres feront face à des formes plus persistantes.
Il est important de rappeler que l’acné est normale à l’adolescence et qu’elle ne doit pas être une source de culpabilité. En revanche, mettre en place des habitudes adaptées permet d’améliorer l’état de la peau, mais aussi le confort et la confiance en soi.
Comprendre les causes — principalement hormonales — ainsi que les différents types de boutons permet d’agir plus efficacement et d’éviter certaines erreurs fréquentes.
Faits essentiels sur l’acné
Il n’existe pas de solution miracle immédiate, mais des soins adaptés permettent de contrôler efficacement les poussées.
L’acné peut et doit être traitée pour éviter les cicatrices.
Elle n’est pas causée par un manque d’hygiène.
L’alimentation (chocolat, fast-food…) n’est pas la cause directe, même si certains facteurs peuvent influencer la peau.
Si les produits classiques ne suffisent pas, un dermatologue peut proposer des traitements plus adaptés.
Les différents types d’acné chez l’adolescent
Toutes les imperfections ne sont pas identiques, et un adolescent peut présenter plusieurs types d’acné en même temps.
Points noirs et points blancs
Les comédons sont les formes les plus courantes d’acné chez les adolescents.
Les points noirs sont des pores obstrués mais ouverts. Leur couleur foncée ne vient pas de la saleté, mais de l’oxydation du sébum au contact de l’air.
Les points blancs, eux, sont des pores bouchés et fermés. Ils apparaissent sous forme de petites bosses claires.
Ces imperfections sont fréquentes sur le nez, le front et le menton. Il est fortement déconseillé de les percer, au risque d’aggraver l’inflammation.
Papules
Les papules sont des boutons rouges, en relief, sans pus. Elles apparaissent lorsque les comédons s’enflamment. Elles peuvent être sensibles ou douloureuses au toucher.
Pustules
Les pustules correspondent aux boutons classiques, avec une pointe blanche contenant du pus. Elles résultent d’une réaction du système immunitaire face aux bactéries présentes dans le pore. Elles sont souvent rouges et inflammatoires.
Nodules
Les nodules sont une forme plus sévère d’acné. Ce sont des boutons profonds, durs et douloureux, situés sous la peau. Ils présentent un risque plus élevé de cicatrices et nécessitent souvent un suivi médical.
Kystes
Les kystes sont également une forme sévère. Profonds et douloureux, ils contiennent du pus et peuvent laisser des marques durables. Dans ce cas, une prise en charge par un dermatologue est fortement recommandée.
Comment prendre soin de sa peau à l’adolescence
Le contrôle de l’acné repose avant tout sur une routine de soins régulière et adaptée.
Une routine efficace peut inclure :
un nettoyant doux pour éliminer l’excès de sébum
des actifs comme l’acide Succinique plus doux que l'acide salicylique pour désobstruer les pores
des soins hydratants non comédogènes pour protéger la barrière cutanée
des ingrédients apaisants comme la niacinamide
Contrairement aux idées reçues, hydrater sa peau est essentiel, même lorsqu’elle est grasse ou sujette à l’acné.
À retenir
Adopter une routine cohérente et éviter de manipuler les boutons sont des étapes clés pour améliorer l’état de la peau. En cas d’acné persistante ou sévère, consulter un professionnel de santé permet de bénéficier d’un accompagnement adapté.
L’objectif n’est pas d’avoir une peau “parfaite”, mais une peau équilibrée, saine et confortable au quotidien.
Produits recommandés
Gel moussant anti-imperfections
Soin concentré serum anti-imperfections
Crème hydratante visage anti-imperfection
Crème hydratante visage
EN SAVOIR PLUS
Contact
Nous sommes là pour toi!
Aide
rejoins-nous !
+33 7 68 18 78 80
© 2026. All rights reserved.